Skip to content
Property Description

Discover a prime investment opportunity with over 54 acres of strategically located land nestled between the 15 Freeway and Cajon Boulevard in San Bernardino, California. Offering exceptional accessibility and visibility, this expansive property is ideal for a wide range of developments, including logistics, commercial, or industrial projects. With its proximity to major transportation corridors, including the Cajon Pass, and the vibrant Inland Empire region, this land presents unparalleled potential for growth and connectivity. Whether you’re looking to expand your portfolio or develop a game-changing project, this prime location offers a rare blend of opportunity and versatility.

Total of 54 acres on Westside of the I-15 fwy***ONLY***

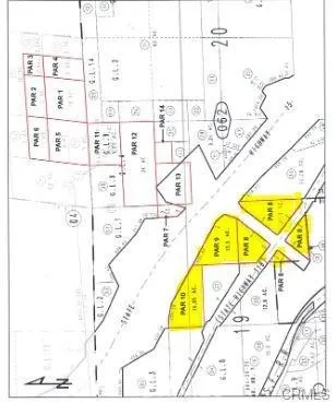
APN 0349-041-56-0000: Parcels 10 (14.95 ac), Parcel 9 (12.5 acres) & Parcel 8 (27.3 acres) only included in sale. See Plat Map Photo. Terms Available.

Address Map
0 Cajon Blvd, San Bernardino, California 92407
US
CA
San Bernardino
San Bernardino
92407
Yes
Cajon Blvd
W118° 32' 11.2''
N34° 15' 20.5''
Contact Listing Agent
274 - San Bernardino
RC
Additional Information
: Other
2025-12-01
: Secluded, Rolling Slope, Lot Over 40000 Sqft
: Rural, Mountainous
Listing Information
HD4711
HD6795
Cash
Active
2025-12-09T00:37:20Z
CRMLS
: Standard
2025-12-01T16:26:56Z

Land For Sale

0 Cajon Blvd, San Bernardino, California 92407

54 Acre
$9,450,000
Listing ID #HD25268629
Basic Details
Property Type : Land
Listing Type : For Sale
Listing ID : HD25268629
Price : $9,450,000
View : Mountain(s)
Lot Area : 54 Acre
Office Name : Coldwell Banker Commercial Rea
Agent Name : Nicholas DiCosola
Listing Status : Active
Agent info
All View Realty
Contact Agent
2551569_AVR_Logo_Revamp_7_031025